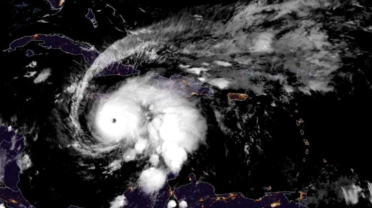
Ο τυφώνας Μελίσσα χτύπησε στην ξηρά στη νοτιοδυτική Τζαμάικα ως καταιγίδα κατηγορίας πέντε, η ισχυρότερη που έχει πλήξει ποτέ το νησιωτικό κράτος της Καραϊβικής στη σύγχρονη ιστορία. Δύο ώρες αργότερα, ωστόσο, υποβαθμίστηκε στο επίπεδο τέσσερα.
Οι ταχύτητες των ανέμων έπεσαν στα 270 χλμ./ώρα, μειώνοντας την ταχύτητά τους από το υψηλότερο σημείο των 295χλμ./ώρα κατά την άφιξη του φαινομένου στην ξηρά.
Οι μετεωρολόγοι αναμένουν κύματα από την καταιγίδα ύψους 3,9 μέτρων πάνω από το επίπεδο του εδάφους και προειδοποιούν ότι η κατάσταση θα χειροτερέψει.
Το ένα τρίτο του νησιού αντιμετωπίζει διακοπές ρεύματος, δήλωσε ο υπουργός Ενέργειας Ντάριλ Βαζ.
BRACE FOR IMPACT: Locals in St. Elizabeth Parish, Jamaica, have been hit hard by slashing winds so far this afternoon, as Hurricane Melissa continues to churn violently.#jamaica #hurricane #hurricaneseason #extremeweather #rain #wind #flooding #FoxWeather pic.twitter.com/tR1iUqiP8c
— FOX Weather (@foxweather) October 28, 2025
Ένας Τζαμαϊκανός είπε στο BBC News ότι "οι άνεμοι είναι τόσο δυνατοί που δεν μπορούμε να σταθούμε όρθιοι", ενώ μια γυναίκα λέει "νερό μπαίνει από την οροφή μου. Δεν είμαι καλά".
Οι επίσημες προειδοποιήσεις για την καταιγίδα δεν έχουν αλλάξει περισσότερο από δύο ώρες αφότου έφτασε στην ξηρά.
Η τελευταία προειδοποίηση από το Εθνικό Κέντρο Τυφώνων των ΗΠΑ δείχνει ότι ο τυφώνας εξακολουθεί να φέρνει "καταστροφικούς ανέμους, ξαφνικές πλημμύρες και κύματα καταιγίδας" στην Τζαμάικα και προειδοποιεί τους ανθρώπους να συνεχίσουν να καταφεύγουν στα καταφύγια.
Meteorologist Matthew Cappucci flew into the eye of Hurricane Melissa, the Category 5 storm that is projected to hit Jamaica.
— The Washington Post (@washingtonpost) October 28, 2025
"It was equal parts scientifically stunning and horrifying from a humanitarian standpoint,” he wrote, flying in one of two groups of hurricane hunters.… pic.twitter.com/MHTTx19WT7
Το κέντρο της καταιγίδας έχει μετακινηθεί στη βόρεια ακτή κοντά στο τουριστικό θέρετρο Μοντέγκο Μπέι και η σταθερή ταχύτητα του ανέμου έχει μειωθεί στα 260 χλμ./ώρα, από τα 280 χλμ./ώρα όταν έφτασε στην ξηρά.
Για να προστατεύσετε τον εαυτό σας, το NHC λέει ότι θα πρέπει να αποφεύγετε την πτώση δέντρων και να "βάλετε όσο το δυνατόν περισσότερους τοίχους ανάμεσα σε εσάς και τον έξω κόσμο".
"Μπορείτε να καλυφθείτε με ένα στρώμα και να φορέσετε κράνος για πρόσθετη προστασία", προστίθεται στην ανακοίνωση.
Οι πιο πρόσφατες Ειδήσεις
Διαβάστε πρώτοι τις Ειδήσεις για ό,τι συμβαίνει τώρα στην Ελλάδα και τον Κόσμο στο thetoc.gr
