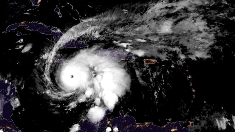
Ο κυκλώνας Μελίσα αναβαθμίστηκε στην κατηγορία 5 στην Καραϊβική, με καταστροφικούς ανέμους, καταιγίδες και πλημμυρικά φαινόμενα που αναμένεται να ενταθούν στην Τζαμάικα στη διάρκεια της ημέρας και προς τη νύχτα, όπως ανακοίνωσε σήμερα Δευτέρα το Αμερικανικό Εθνικό Κέντρο Κυκλώνων και Τυφώνων (NHC).
"Η Μελίσα είναι πλέον κυκλώνας κατηγορίας 5", ανέφερε το NHC, που εδρεύει στο Μαϊάμι. Η Μελίσα βρισκόταν σε απόσταση περίπου 505 χιλιομέτρων νότια-νοτιοδυτικά του Γκουαντάναμο, στην Κούβα, σύμφωνα με NHC.

Οι πιο πρόσφατες Ειδήσεις
Διαβάστε πρώτοι τις Ειδήσεις για ό,τι συμβαίνει τώρα στην Ελλάδα και τον Κόσμο στο thetoc.gr